Rustico in vendita

Corneliano D'Alba, Via Valeirole
€ 49.000
3 locali 3 locali
90 Mq 90 Mq
1 bagno 1 bagno

Rustico in vendita

Corneliano D'Alba, Via Valeirole

Descrizione annuncio

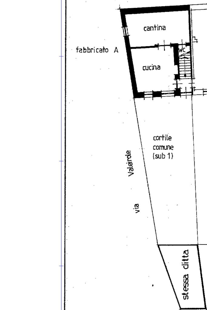
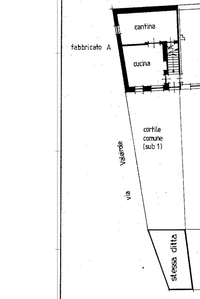
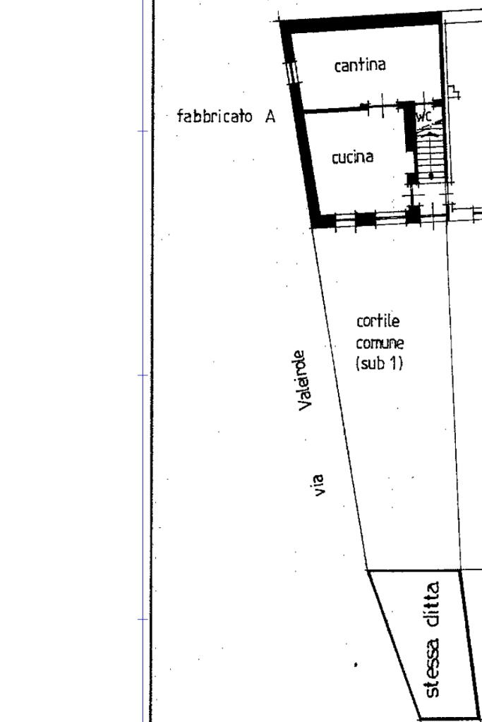
Nel cuore del comune di Corneliano d'Alba, proponiamo in vendita Porzione di rustico (solo la parte evidenziata in rosso). Situato in una posizione centrale, questo immobile offre la comodità di avere tutti i servizi del paese a pochi passi. La struttura, da ristrutturare, rappresenta un'opportunità per personalizzare gli spazi secondo le proprie esigenze. Al piano terra attualmente si trova una spaziosa zona giorno. Al piano superiore, due camere da letto offrono un ambiente tranquillo e riservato per il riposo. Completa la proprietà un portico (una porzione), perfetto per ospitare un'auto, garantendo praticità e protezione. Questa soluzione è ideale per chi desidera vivere in un contesto tranquillo a pochi minuti dalla città di ALBA, con la possibilità di creare un appartamento ideale anche come investimento da locazione.

Mostra tutto

Nelle vicinanze

Scuole Scuole
Scuola Materna Corneliano
400 m
Scuola Elementare Piobesi d'Alba
1,5 Km
Scuola Elementari
2,3 Km
Scuole
2,4 Km
Farmacia Farmacia
Farmacia
140 m
Negozi Negozi
Fragrà
50 m
Panetteria Pasticceria del Centro
230 m
Bar Bar
Bar Pasticceria Gelateria
360 m
Bar Desgenà
1,6 Km
Ristoranti Ristoranti
Nostra Manera Trattoria della Pizza
70 m
Grandaburger
460 m
L'Italiana
1,1 Km
Lector in Tabula
1,6 Km
Bar Ristorante Il Papiro
1,8 Km
Mostra tutto

Caratteristiche

Rif.:
61120226
Piano:
1 di 2 (Piano su più livelli)
Box:
1
Posti auto:
1
Balconi:
1
Camere da letto:
2
Mostra tutto
Prezzo Prezzo
€ 49.000
Rata mutuo Rata mutuo
€ 232 / mese
Spese annue Spese annue
€ 0
Proponi il tuo prezzoProponi il tuo prezzo

Classe Energetica

G
G
G
G
G
G
G
G
G
EP globale non rinnovabile:
348.43 kW h/m² anno
EP globale rinnovabile:
12.32 kW h/m² anno
EP invernale del fabbricato:
EP estiva del fabbricato:
Anno di costruzione:
1930
Riscaldamento:
Assente

Ti interessa visionare l'immobile?

Fissa un appuntamento  Fissa un appuntamento

Richiedi informazioni

Clicca su Leggi per aprire l'informativa
* Questi campi sono obbligatori

Calcola il tuo mutuo

Semplice e senza impegno
Anticipo

( % )
Mutuo

( % )

pochi semplici passi

inserisci i tuoi dati
Questionario completato
Grazie per aver richiesto un appuntamento senza impegno con un nostro Consulente del Credito e Assicurativo.

Hai inserito correttamente tutti i dati necessari e a breve riceverai una e-mail con un link da convalidare per inviare i tuoi dati.
Affiliato
Immobiliare Sommariva Sas
Via Roma, 14 12040 Sommariva Perno (CN)

Il nostro staff


  • Luca Pistore
    Affiliato

  • Gloria Gramaglia
    Coordinatrice
Via Roma, 14 12040 Sommariva Perno (CN)
Zona: Sommariva Perno e del Bosco-Monticello-S.Vittoria-Pocapaglia-Sanfrè-Baldissero-Corneliano-Piobesi
Mostra su mappa
Orari: lunedì - venerdì: 9:00-12:30 15:00-19:30 sabato 9:00-12:30 15:00-18:00
Affiliato
Immobiliare Sommariva Sas
Via Roma, 14 12040 Sommariva Perno (CN)

2026 Tecnocasa Franchising S.p.A. - P. IVA 08365160152 - Via Monte Bianco 60/A 20089 Rozzano (MI). Ogni agenzia ha un proprio titolare ed è autonoma. Privacy policy | Policy utilizzo | Cookie policy